The Many Failed Plans for the Wabash Bridge and Tunnel.
--Until they finally opened the thing in 2004
The December 27, 2004 opening of the Wabash Tunnel ended over 70 years of proposals and speculation for the use of the over 100 year old facility.  The tunnel, which is now a reversible roadway that handles HOV traffic during rush hours, has seen many failed plans that include mass transit, converted and new bridges, and other forms of moving vehicular traffic.

Brief History:
Constructed in 1902-04, the Wabash Bridge and Tunnel was planned and financed by rail mogul, Jay Gould.  Gould began his "Battle of the Wabash" with the established railroads of the city in 1890.  He would finally emerge victorious, but during that struggle, Gould would see many setbacks that would eventually result in the railroad's bankruptcy in 1908.  On October 19, 1903, when the two ends of the bridge were to be joined together over the Monongahela River, the 109' bridge collapsed; killing ten men.  Construction would resume four days later (1); however, the project was still hampered by strikes, riots, landslides, and floods. (2)  The railway, named the Wabash-Pittsburg Terminal Railroad, began operations in July 1904 but would only last for four years.

The former Wabash line and properties were purchased by the Pittsburgh & West Virginia Railroad in 1917.  However, disasters would still wreak havoc on the new owners.  In November 1925, a landslide would block the tunnel's north portal and cause major damage to the trestle that connected the tunnel to the bridge.  The auto era would see the end of passenger service to the line in 1931.  Freight service would continue until 1946, when a series of fires would damage and destroy the downtown terminal and many parts of the railyard.  The bridge would be demolished two years later with much of the steel sent upriver to be used in construction of the Dravosburg Bridge.  The demolition left an unused 3,350 foot tunnel and two stone bridge piers that sit to this day on both shores of the Monongahela.

1930's Urban Highway Plans:
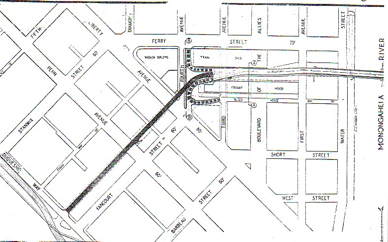
Plans for new uses of the bridge and tunnel began in 1931.  Although the two were still carrying rail traffic, Allegheny County decided to purchase the tunnel for $3,000,000.  The reason: To create another access point into downtown from the South Hills.  The Liberty Bridge and Tunnels, opened three years earlier, were wildly successful and already exceeding traffic expectations. (1)  The plan was to convert the tunnel, bridge, and elevated track downtown to an urban highway. The highway would begin with an interchange with Saw Mill Run Blvd., run through the tunnel and across the bridge, finally running over the elevated track to Duquesne Way. (3) (See Images 2, 3, & 4).

The plan would be blocked by a grand jury in November 1931 by a grand jury that ruled the plan, specifically the bridge and tunnel, as inadequate for vehicular traffic, that the County misrepresented the project's true cost, and that the commissioners did not get approval from the planning commission. (1)  The suit that resulted in the termination of the $3 million purchase was filed by Newton and Emma Hopkins.  They argued that the 21 foot wide tunnel would be a "...hazard in the event an automobile should stall or be wrecked." (4)  This would be a similar concern and reason why the tunnel only carries one lane today.   The County's 1931 proposal would have aprons built onto the bridge so it could handle four lanes of traffic; however, no plans were made to twin the tunnel.  (4)

The 1931 failure would not stop additional attempts for the urban highway during the decade.  Urged again in 1932 by downtown businessmen, the County in 1933 hired Ole Singsted to study the 1931 plan.  The $5,000 study by Singsted endorsed the plan with a suggestion to build a second tunnel to add two more lanes. (1)   The County tried again, via the New Deal Administration, for the $3 million in 1934, but the request was turned down.  (1)  1936 saw the last attempt to convert the bridge to a highway; however it never came to pass.

Skybus:
It wasn't until the mid-1960s that the next chapter in the Wabash Tunnel Saga would begin.  The newly formed Port Authority of Allegheny County along with the Westinghouse Corporation began to demonstrate 'Skybus', a fully automated transit system, at the County Fairgrounds in South Park.  By 1969, Skybus became a pivotal piece of the agency's Early Action Transit Plan.  The line would use the tunnel and cross into downtown via a new bridge.  The proposal received strong support from the county, but Pittsburgh Mayor Pete Flaherty, after taking office in 1968, would begin his battle against the plan.  Although the system had yet to be approved, PAT moved forward and acquired the tunnel and spent $6 million on converting the tunnel for Skybus in 1971. (1)  After a lengthy and well publicized trial, PAT would see the public and politicians turn against the project.  Skybus would officially be dead by the mid-1970s.

A Solution to a Traffic Nightmare?:
After the death of Skybus, the Wabash would sit empty.  The Port Authority would use it to store buses until vandals damaged over 80 buses in 1980. (5) In 1986, the City of Pittsburgh looked at converting the tunnel back to autos and creating a connection from Saw Mill Run Blvd. to Station Square. (6) 1992 saw the beginning of what would result in the tunnel being converted for auto usage and opening over a decade later.   With the closure of the Ft. Pitt Bridge and Tunnels for reconstruction looming, PennDOT and officials from the City of Pittsburgh began to seriously look at the tunnel as an alternative for traffic when the bridge was closed.  In March 1992, the Highway Bridge Capital Budget was amended to include a $35 million allocation for construction of a new bridge over the Monongahela River that would use the former Wabash facilities. (7)  

Consensus was made that the new Wabash Bridge and Tunnel would be an HOV facility.  In 1994, the Port Authority began a $3.2 million conversion of the tunnel from Skybus to auto usage. (5) For the next ten years, debate, revisions, postponements, and cutbacks would change the ultimate outcome.  For the rest of the 1990's, arguments over costs, design of ramps, and concerns voiced by downtown businessmen would ultimately scrap plans for a new bridge.  Meanwhile, the complete rehabilitation of the Ft. Pitt Bridge and Tunnel would be delayed and ultimately completed in 2003.  The West Busway which also became part of the Wabash Project was built and completed in 2000.  It was a scaled back version as acquisition costs to connect the Busway at the Corliss Tunnel and the Wabash became too high.  Finally in 2003, construction began to connect the refurbished tunnel to Carson Street.  The tunnel opened for business on December 27, 2004.


#1: The Wabash Tunnel South Portal. (Jeff Kitsko; December 2004)
 
 
 
 
 
 
 
 
 
 
 
 


#2: Wabash Urban Highway at Saw Mill Run Blvd. 1931-36 Proposal. (8)


#3: Grid of Wabash Urban Highway to Duquesne Way along the former elevated railway.  1931-36 Proposal. (3)


#4: Artist drawing of Wabash Urban Highway, Downtown.  1931-36 Proposal. (1)
 
 
 
 
 


#5: Inside the refurbished Wabash Tunnel.  (Jeff Kitsko; December 2004).


Site Navigation:

  • Return to the SWPA Roads Project
  • Sources & Links:

  • (1) Hoover, Bob. "Is there a light at the end of the tunnel?" The Gazette January 23, 1994: 5-7.
  • (2) Bennett, Joe. "Pittsburgh's Hard Luck Bridge." The Pittsburgh Press Roto June 5, 1977.
  • (3) "Leaders Urge Wabash Deal." The Pittsburgh Press May 18, 1932.
  • (4) Shields, Mark. "County Deal for Wabash Tube Fought." Pittsburgh Sun-Telegraph October 24, 1931.
  • (5) Grata, Joe. "Wabash Tunnel, closed since 1946, to carry traffic starting tomorrow."Pittsburgh Post-Gazette. December 26, 2004.
  • (6) Fisher, Ken. "Old Wabash Tunnel may be unsealed." Pittsburgh Post-Gazette. May 31, 1986.
  • (7) Hopey, Don. "Wabash tunnel, bridge plans get state boost of $35 million." The Pittsburgh Press. March 21, 1992.
  • (8) Grata, Joe. "Wabash Tunnel At Impasse, Hardy Survivor Of Old Foes." The Pittsburgh Press. March 10, 1975.
  • Wabash Bridge @ Pghbridges.com ---Bruce Cridlebaugh
  • Wabash Tunnel @ Pghbridges.com ---Bruce Cridlebaugh
  • West Busway/Wabash HOV Facility @ Pittsburgh Highways ---Jeff Kitsko

  • Page Created: January 16, 2005
    Last Updated: January 16, 2005

    (C) 2005 William Lawson